조황관리HOME / 조황관리 / 상세정보

제목 : 2월14일 22인승. 고성일광호. 어구가자미조황. 0108510-2346
등록일 : 2026-02-14

1000002506.jpg


1000002508.jpg


1000002507.jpg


1000002519.jpg


1000002518.jpg


1000002517.jpg


1000002514.jpg


1000002515.jpg


1000002513.jpg

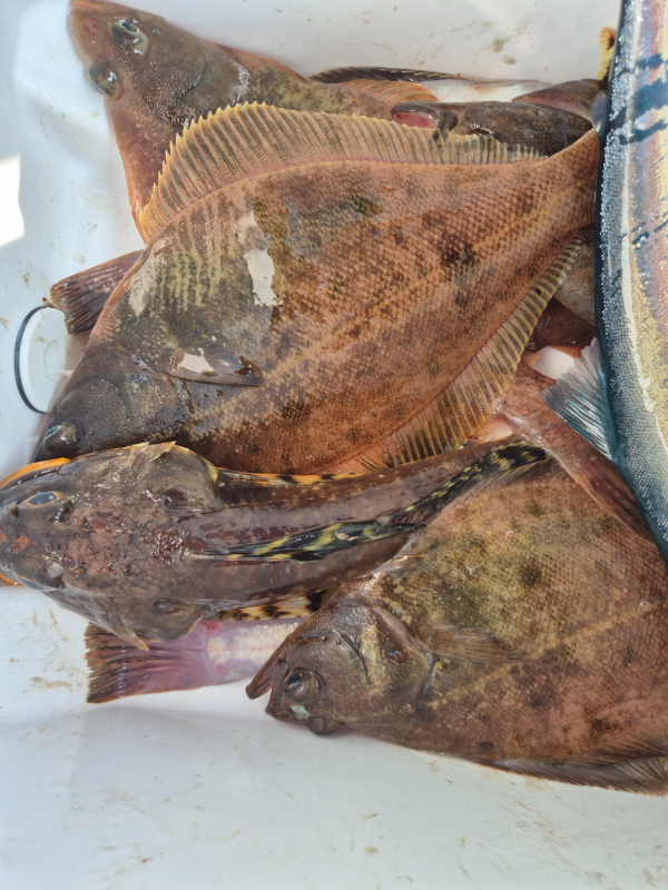
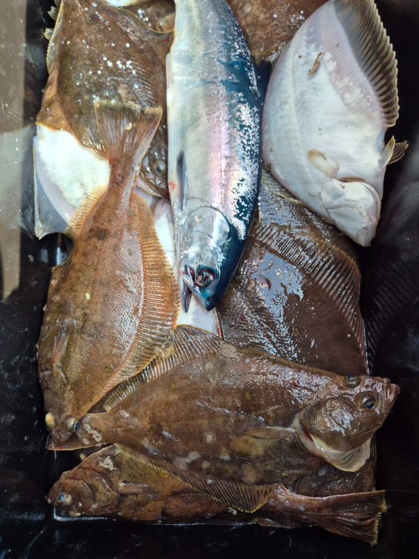
오늘도 어구가자미 출조다녀왔습니다
아침부터 조류가 센 가운데 꾸준한 조황보였습니다오늘 출조하신분들 수고하셨습니다


=== 강원도 고성 일광호 예약안내 ===


예약문의 : 010-8510-2346

오시는길 : 강원도 고성군 죽왕면 공현진 해변길 72 3호 일광호

홈페이지 : http://ilgwang.sunsang24.com/


모바일.jpg 

Top